Deux parcelles clôturées à vendre Fidjrossè Fiyégnon Cotonou
- 85.000.000 CFA
- 85.000.000 CFA
Vue d'ensemble
- 18839
- Terrain
- 765 m²
Description
Opportunité immobilière à Fidjrossè Fiyégnon – Deux parcelles clôturées à vendre à Cotonou
Ne manquez pas cette occasion unique d’investir à Fidjrossè Fiyégnon, l’un des quartiers les plus prisés de Cotonou. Deux parcelles clôturées sont mises en vente à seulement 300 mètres du goudron, juste après la station Ewel et non loin du carrefour Club des Rois. L’emplacement est exceptionnel, situé au bord d’une nouvelle voie asphaltée, garantissant un accès facile et un cadre moderne.
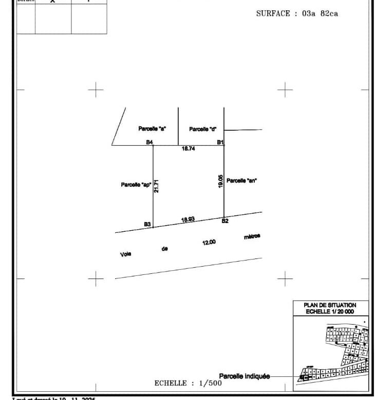
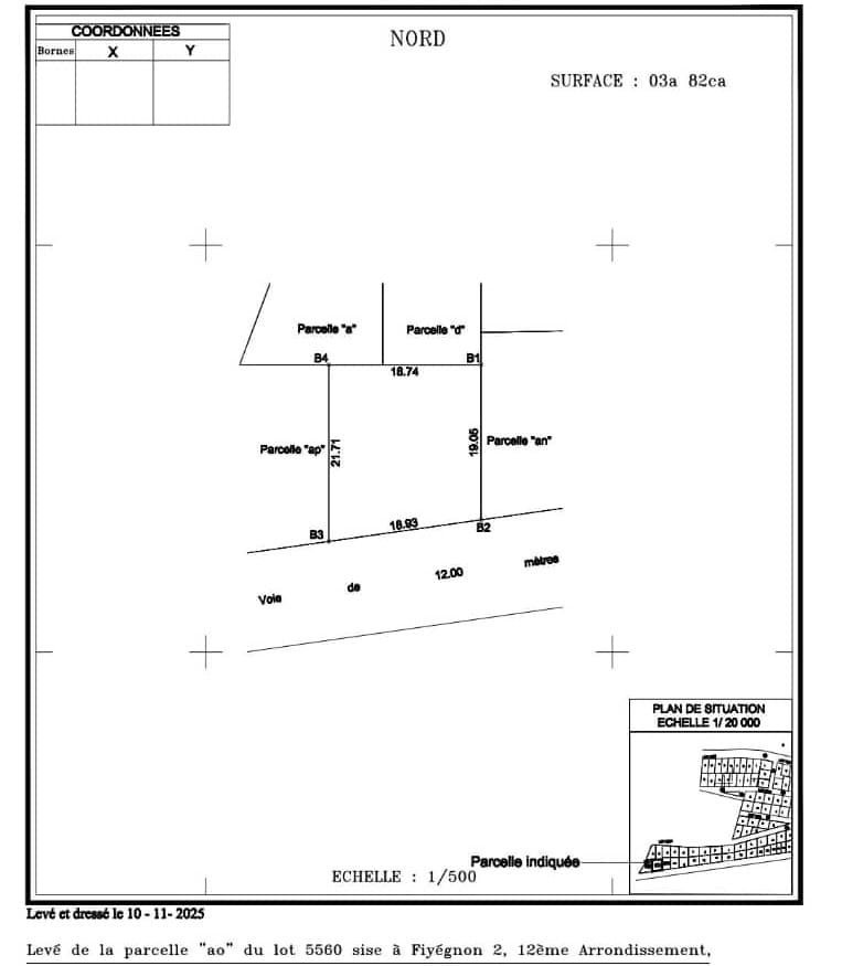
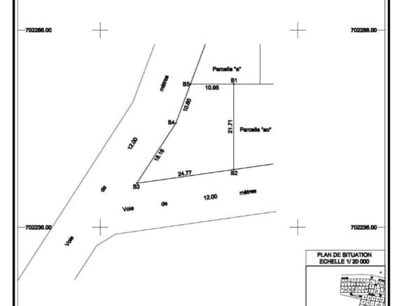
La superficie totale est de 765 m², offrant de nombreuses possibilités d’aménagement. Ce domaine est parfait pour la construction d’une villa de standing, d’un immeuble locatif ou d’un complexe résidentiel privé. Le quartier bénéficie d’une forte demande immobilière grâce à son environnement calme, sa proximité des plages et la présence d’infrastructures de qualité.
Les documents administratifs sont clairs et sécurisés. Une attestation de recasement est disponible, assurant la régularité du bien. Le propriétaire est vivant, ce qui facilite la transaction et garantit une vente rapide et sans litige.
Le prix de vente est fixé à 85 millions FCFA pour l’ensemble des deux parcelles. Ce montant reste cohérent avec la valeur foncière de la zone, en constante évolution. Investir à Fidjrossè aujourd’hui, c’est anticiper la forte croissance de demain et garantir un retour sur investissement durable.
Ces parcelles représentent donc une excellente opportunité pour investisseurs, promoteurs ou particuliers recherchant un emplacement premium à Cotonou. De plus, la zone est desservie par toutes les commodités essentielles : eau, électricité, commerces et axes routiers.
L’acquéreur devra prévoir une commission immobilière de 5 %.
👉 Résumé :
Localisation : Fidjrossè Fiyégnon, Cotonou
Superficie : 765 m² (deux parcelles clôturées)
Statut : Attestation de recasement
Accès : Bordure de voie asphaltée
Prix : 85 000 000 FCFA
Propriétaire : vivant
Commission : 5 %
Détails
Mis à jour le novembre 10, 2025 à 4:49 pm- N° Référence 18839
- Prix 85.000.000 CFA
- Superficie du terrain 765 m²
- Type de bien Terrain
- Statut du bien A Vendre
Informations de contact
Annonces similaires
Parcelle clôturée avec titre foncier à vendre à Togbin Plage
Fidjrossè, Togbin, Abomey-Calavi, Cotonou, Atlantique, Littoral, BéninParcelle clôturée avec titre foncier à vendre à Fidjrossè Togbin Plage Zone...
Terrain demi-hectare en vente à Cotonou Fidjrossè – Route des Pêches
Fidjrossè, Cotonou, Littoral, BéninOpportunité rare : Demi-hectare en vente proche du Carrefour Club des Rois...
Demi-parcelle de 211 m² à vendre à Fidjrossè Cotonou
Fidjrossè, Cotonou, Littoral, BéninDemi-parcelle à vendre à Fidjrossè Calvaire, à 70 m de Sun Beach...



